Site Logo

A second look along the Foss

Published 12:00 am Thursday, February 16, 2006

A second look along the Foss

Downtown residents concerned over views potentially impacted by the Tacoma City Council’s decision to raise the height of buildings along the Thea Foss Waterway gathered last night at City Hall to express their opposition to the plan.

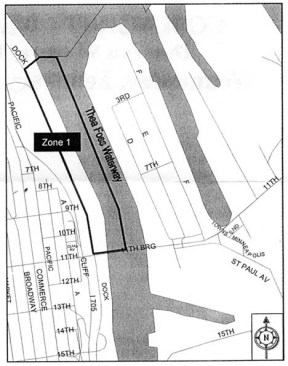
According to an ordinance approved by the council in 2004, the height of buildings in Zone 1, which stretches from the mouth of the Foss to the Murray Morgan Bridge, could be increased from 100 feet to 180 feet.

However, residents of the Perkins Building and Cliff Street Lofts, two condominium towers with views of the Foss Waterway and Commencement Bay, have voiced so much opposition to the plan that the State Department of Ecology recently expressed concern to the city’s planning commission. The city withdrew its application to amend the agency’s Shoreline Management Act. Instead, the city decided to hold more public meetings, gather additional information, and create a revised amendment.

Last night’s meeting was a second chance for homeowners with waterfront views to plead their case that raising building heights in the zone would impact private views from their homes, as well as public views from Firemen’s Park and other vantage points throughout the city.

Several downtown homeowners told the planning commission that they bought their condominiums because of the views that were now in jeopardy, and at a time when the city was having trouble luring homeowners downtown.

“Views of Mt. Rainier and Commencement Bay were factors for me in purchasing my condominium,” said Ken Banks, who lives in a unit on the top floor of the Perkins Building.

But Peter Huffman, manager of the growth management division of the city’s Community and Economic Development Department, said the city did not have an obligation to protect those views. In fact, he explained, the decision to raise the building heights was made in part to build tall, narrow towers that would better preserve view corridors.

“We’re trying to find a broad balance of public interest beyond just those two buildings,” said Huffman. “We’re also looking at the overriding public interest in impeding that view.”

But Perkins Building resident Pat Cummings balked at the idea that raising heights was meant to preserve view corridors.

“It’s disingenuous to say the primary driver for this was preserving the public view,” said Cummings. “The primary driver for this was a developer who wanted to maximize his investment. This is primarily serving a private issue, and not a public issue. This public view concern is masking that.”

Indeed, one project developed by Simon Johnson LLC, proposes at least 350 apartments and condominiums, retail space, and a grocery store. The four towers would sit atop a five-story parking garage.

Residents were also concerned that raising the height in Zone 1 would set a precedence for other developers along the waterfront. The result? A wall of buildings along the Foss. “By allowing it here, you are going to make it easier to make changes to the south,” said one Perkins Building resident.

During last night’s meeting, the planning commission collected public comments. It is expected to hold another public meeting next month, and create a draft amendment that incorporates those comments.

“At the end of the day, it’s up to the city council to determine if the impact is in the public interest,” said Peter Huffman.